






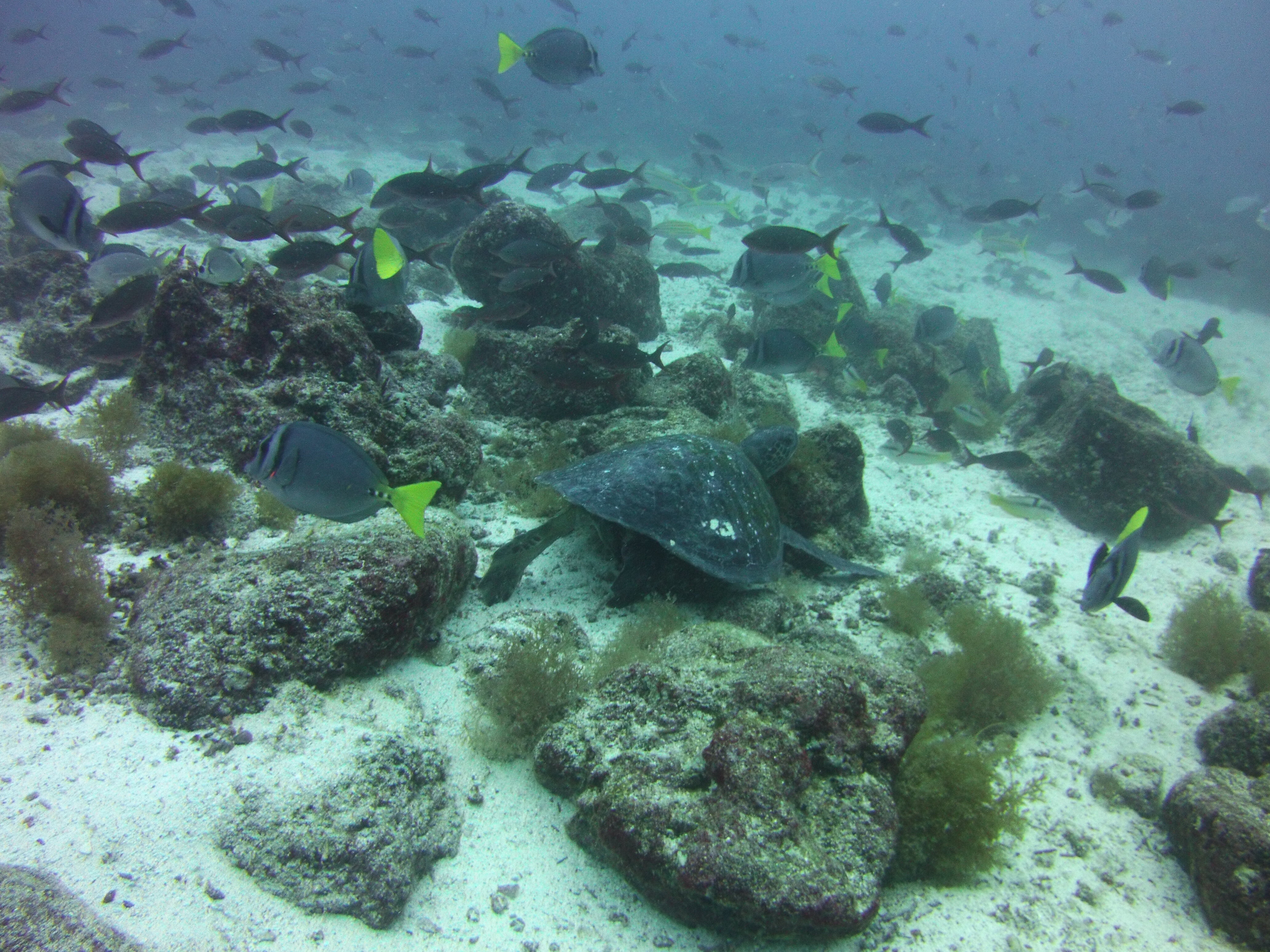
Every time i dive, i think, i always see a sea turtle.
While it does not excite me as it used to be, but seeing one has always been a pleasing experience.
Life was meant for good friends and great adventures







Every time i dive, i think, i always see a sea turtle.
While it does not excite me as it used to be, but seeing one has always been a pleasing experience.